If you’ve still got barramundi in your unheated aquaponics, it’s very much time to harvest them (at least in the southern parts of Australia).
Barra are tropical species (native to Australia’s north) and can tolerate water temperatures down to 16 degrees Celsius, but not for prolonged periods.
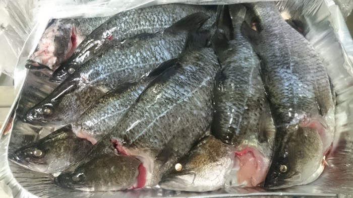
Pictured are fish from my backyard aquaponics set-up, harvested about a month ago.
—
Yours sincerely,
Dr Richmond Loh
DipProjMgt, BSc, BVMS, MPhil (Pathology), MANZCVS (Aquatics& Pathobiology), CertAqV, NATA Signatory.
PERTH | MELBOURNE | TOWNSVILLE
THE FISH VET – AUSTRALIA.
Mobile Aquatic Veterinary Medical & Diagnostic Services.
http://www.thefishvet.com.au
Ph: +61 (0)421 822 383
